

ID : AA025025
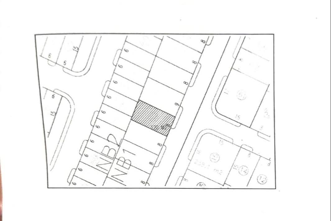
Dijual tanah di kawasan elit Northwest Park Citraland, Surabaya Barat. Dengan luas tanah 120m² (8x15 meter) dan menghadap Tenggara, lokasi ini sangat ideal untuk membangun hunian pribadi ataupun investasi jangka panjang di area prestisius. Terletak di lingkungan modern dengan infrastruktur yang tertata rapi, keamanan 24 jam, dan akses mudah ke pusat perbelanjaan, sekolah internasional, serta berbagai fasilitas gaya hidup. Legalitas dalam bentuk PPJB. Dipasarkan dengan harga Rp1,5 miliar (nego), segera miliki kavling impian Anda di Citraland. Hubungi kami sekarang juga untuk info lengkap dan jadwalkan survei lokasi.
.png)

A&A Indonesia merupakan perusahaan agen properti sejak tahun 2006 yang berpengalaman dalam membantu proses transaksi, mulai dari pencarian properti, negoisasi, hingga pendampingan legalitas. Budaya Kerja kami adalah FAMILY dengan menjunjung tinggi keyakinan (Faithful), saling menghargai (Appreciate), berpikiran terbuka dan positif (Mindset Positive), berintegritas tinggi (Integrity), mengindahkan rasa peduli (Love), serta bergerak dinamis dan inovatif mengikuti arus perkembangan (Youth)
A&A Indonesia juga mengembangkan situs jual beli properti yang menyediakan berbagai pilihan properti dijual dan disewakan di berbagai wilayah Indonesia. Melalui situs ini, pengguna dapat menemukan rumah, tanah, apartemen, hingga properti komersial yang mudah dicari sesuai kebutuhan hunian maupun investasi.