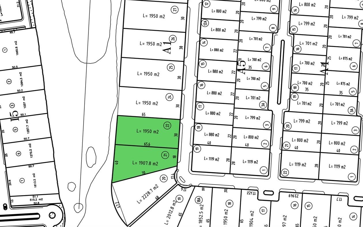
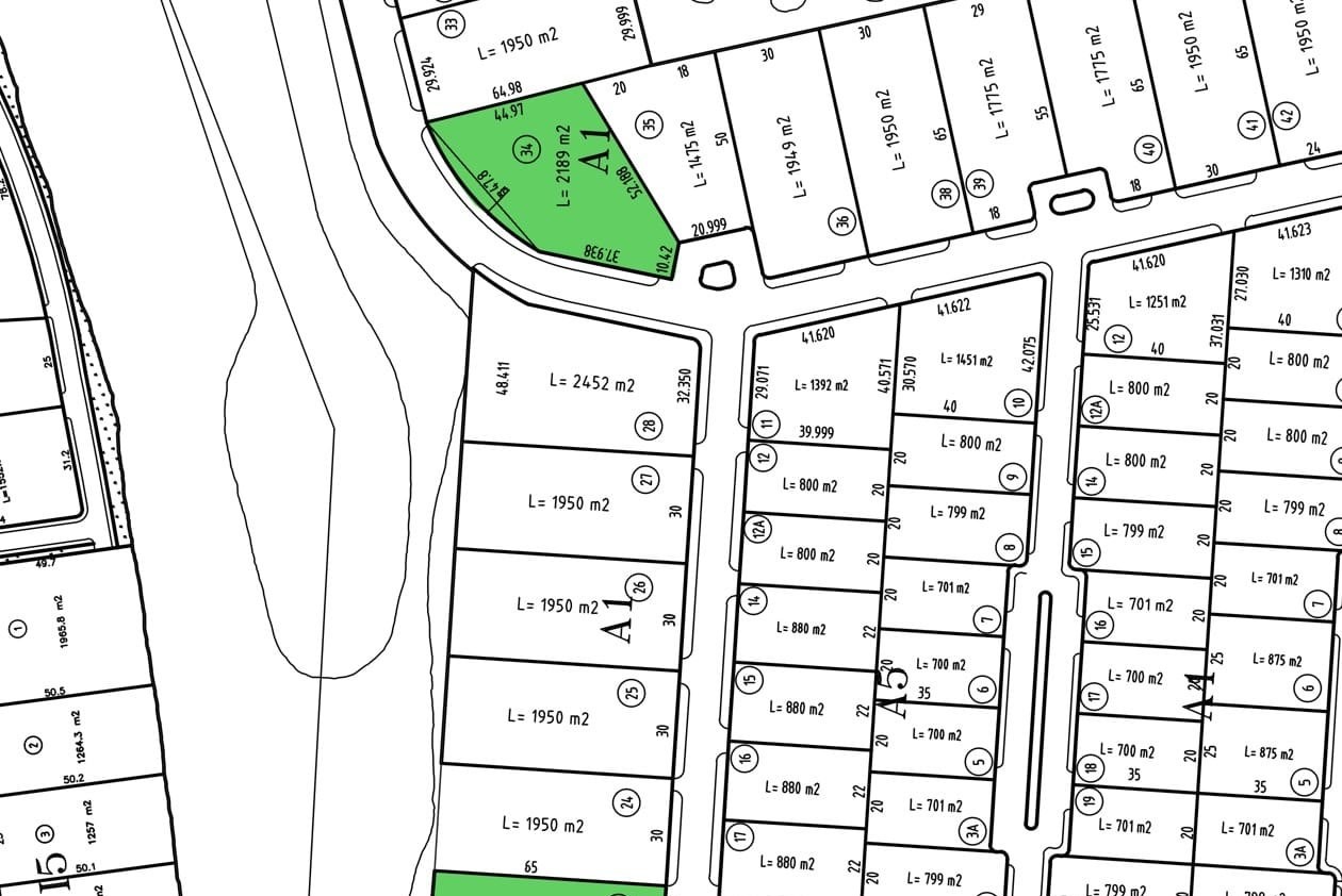
Kavling Puncak Golf merupakan salah satu proyek eksklusif persembahan dari developer ternama,
Citraland Surabaya, yang telah dikenal luas dalam membangun kawasan hunian prestisius dan tertata dengan baik di wilayah Surabaya Barat. Berada di lingkungan perumahan elit dengan infrastruktur yang telah matang, Kavling Puncak Golf menawarkan kesempatan langka bagi Anda yang ingin membangun rumah impian atau berinvestasi di kawasan yang terus berkembang. Proyek ini menyasar kalangan premium yang menginginkan kenyamanan hidup, keamanan, dan nilai investasi yang tinggi di masa depan.
Keunggulan & Fasilitas
Kavling Puncak Golf dikelilingi oleh fasilitas lengkap yang menunjang gaya hidup modern dan eksklusif. Berikut keunggulan yang ditawarkan:
- Terletak di dalam kawasan Citraland, kawasan hunian elit dengan sistem keamanan 24 jam
- View lapangan golf yang asri dan menyegarkan
- Lingkungan yang sudah ramai dan hidup, tidak seperti kavling kosong pada umumnya
- Nilai investasi tinggi karena berada di kawasan premium Surabaya Barat
- Cocok untuk dibangun rumah tinggal, guest house, maupun villa pribadi
- Jalan lingkungan lebar, rapi, dan terawat
- Bebas banjir dan memiliki sistem drainase yang baik
Aksesibilitas
Lokasi Kavling Puncak Golf sangat strategis dan mudah diakses dari berbagai pusat kota maupun fasilitas publik utama. Berikut beberapa titik akses penting:
- Hanya 5 menit ke Lenmarc Mall
- 7 menit ke PTC Mall dan Vasa Hotel
- 15 menit ke RS Mitra Keluarga Surabaya
- Dekat dengan berbagai sekolah internasional dan universitas ternama
- Akses mudah ke tol Surabaya–Gempol maupun tol JLLB (Jalan Lingkar Luar Barat)
Segera miliki kavling impian Anda di Puncak Golf Citraland eksklusif dengan kenyamanan hidup kelas atas dan potensi investasi menjanjikan. Hubungi kami sekarang untuk info lebih lanjut atau survei lokasi. Harga dapat berubah sewaktu waktu.